antennanews.gr Γάτος επέζησε από βέλος που του διαπέρασε το κεφάλι | Γενικά | ANT1News

Γενικά

23 Οκτωβρίου 2013 09:24

Γάτος επέζησε από βέλος που του διαπέρασε το κεφάλι

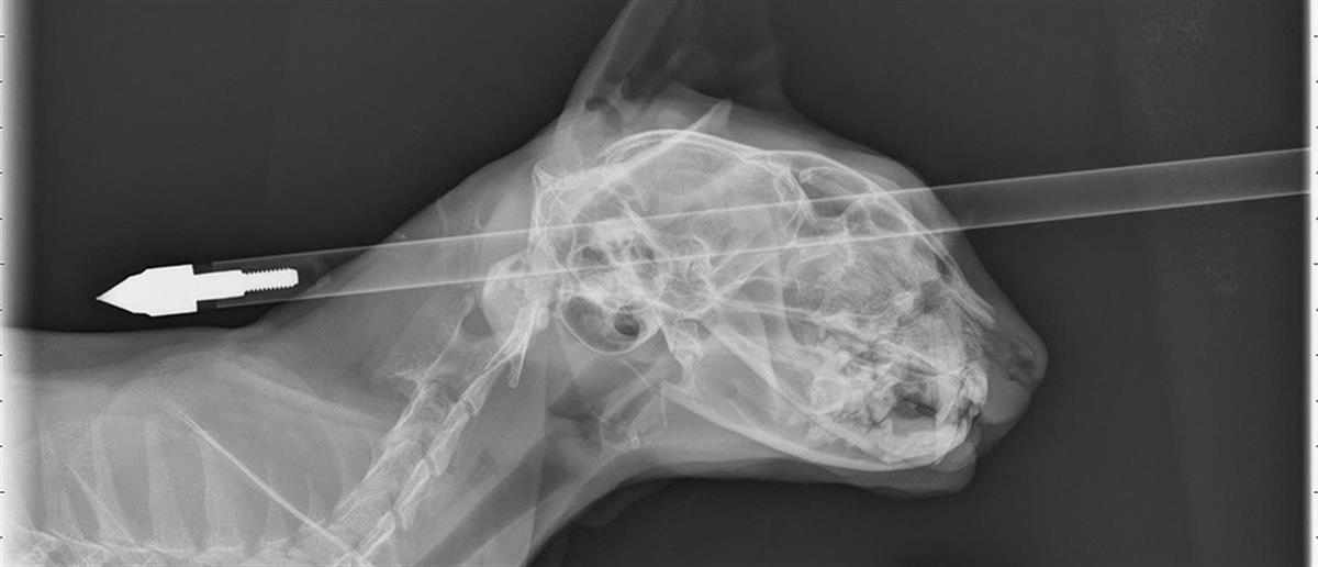
Εφτάψυχος αποδείχθηκε ένας γάτος στη Νέα Ζηλανδία, ο οποίος δέχθηκε ένα βέλος από βαλλίστρα, που του διαπέρασε το κρανίο.

-

Σοκ υπέστη η ιδιοκτήτρια του γάτου, βλέποντας τον να κείτεται στους θάμνους, έχοντας ένα βέλος καρφωμένο στο κεφάλι του. Κάποιος ασυνείδητος τον έβαλε στο στόχαστρο της βαλλίστρας του και το βέλος διαπέρασε το κρανίο από τη μία άκρη ως την άλλη.

Αρπάζοντας το τετράποδο στην αγκαλιά της, η Ντόνα Φεράρι έσπευσε στο πλησιέστερο νοσοκομείο, σε μία απέλπιδα προσπάθεια να το σώσει. Οι γιατροί στην κτηνιατρική κλινική της πόλης Πάλμερστον Νορθ, βορειοανατολικά της πρωτεύουσας Ουέλινγκτον, διαπίστωσαν πως ο γάτος ζούσε, καθώς το βέλος είχε καρφωθεί λίγο πάνω από το μάτι, αλλά δεν είχε πειράξει τον εγκέφαλο. Τον υπέβαλαν σε πολύωρη χειρουργική επέμβαση και αφαίρεσαν το βέλος.

«Έχει ένα τραύμα στο μάτι, αλλά είναι σίγουρα ένας πολύ τυχερός γάτος», δήλωσε ο χειρουργός Τζόναθαν Μπρέι για τον Μου-Μου, όπως είναι το όνομα του 4χρονου ζώου.

12345 ... 8910
  Ακολουθήστε το antenna.gr στο Google News και μάθετε πρώτοι όλες τις ειδήσεις!
 Απαγορεύεται η αναπαραγωγή του παρόντος άρθρου, χωρίς αναφορά στην πηγή antenna.gr (με ενεργό σύνδεσμο προς το antenna.gr)